Foto z otevřených zdrojů
Vědci objevili podivnou strukturu připomínající mikrobiální buňka uvnitř marťanského meteoritu, ale netvrdí se, že je to naznačuje přítomnost života na Marsu.
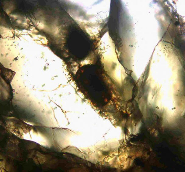
Vědci objevili mikroskopickou oválnou strukturu v roce 2005 Nakhla marťanský meteorit, který padl na Zemi v Egyptě v roce 1911 rok. Zatímco vzhled této struktury je zajímavý, s největší pravděpodobností vznikl spíše jako výsledek geologického než geologického biologické procesy, říkají členové týmu.
Foto z otevřených zdrojů
“Posouzení možných biotických scénářů původu Struktura vajec v Nakhl je v současné době nemožná kvůli chybí přesvědčivé důkazy, “píšou vědci nový studie publikovaná tento měsíc v časopise Astrobiology. „Na základě dostupných údajů, o kterých jsme dostali povaha této vejčité struktury v Nakhla, jsme došli k závěru že nejrozumnější vysvětlení pro jeho původ je to vzniklo abiotickými procesy. “
Foto z otevřených zdrojů
Struktura je asi 80 mikronů dlouhá a 60 mikronů široká, vědci říkají, že mnohem více, než většina zemí bakterií, ale v normálních mezích pro eukaryotické mikroorganismy Země (jednobuněčné organismy, které mají jádro a organely). Výzkumný tým je přesvědčen, že objekt je domácí ve vzorku, nikoli v důsledku znečištění půdy.
Vědci studovali strukturu pomocí řady různých metod, včetně včetně elektronové mikroskopie, rentgenové analýzy a hmotnostní spektrometrie. Tato studie zjistila, že ovál struktura sestává z hlíny bohaté na železo a obsahuje řadu dalších minerály.
Foto z otevřených zdrojů
Mars čas
