Foto z otevřených zdrojů
Neuvěřitelně zničující hurikán Michael, který zasáhl jihovýchodní pobřeží USA, dosáhl státu Florida. Blízko oceánu zaznamenává se rychlost větru až sto metrů nebo více sekunda. Naléhavě bylo 375 tisíc místních obyvatel evakuován poté, co prezident vyhlásil stav nouze. Přestože počet obětí je stále měřen v jednotkách, “Michael” se nazývá silný hurikán, kterému čelí moderní florida.
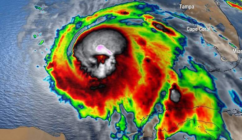
Tragédie získala neobvyklé a poněkud mystické kolo, když Američané najednou sledovali zprávy o katastrofách si všiml podivného „znamení“ ve vzduchu. Na satelitním obrázku podezřelý tropický cyklón vytvořil zlověstnou siluetu vypadá jako šedá lebka s krvácejícími očními důlky. Samozřejmě mnoho oddaných diváků si myslelo, že je to špatné znamení a nezkrotný „Michael“ je určitě předurčen nést mnoho lidských životů.
Zpráva o tajemné “lebce” se stala tak populární v World Wide Web, který na to musel dokonce reagovat Američtí klimatologové. Podle nich mluvíme o obyčejných pareidolická iluze, která se objevila na obrázku hurikánu jen na sekundu nebo dvě. Je zajímavé, že v roce 2016 podobná silueta lidská lebka byla objevena v satelitní fotografii tropický cyklón “Matthew” nad Karibikem.
Myslíte si, že je to náhoda nebo ne? A je to možné v našem život jako nehody? ..
Život
